Nova kapelica u Jelovom Klancu
- Detalji
- Napisao/la Jurica
Na mjestu bivšeg raspela u centru Jelovog Klanca mještani su, nakon što je postojeći križ dotrajao, odlučili izgraditi malu kapelicu kako bi novi križ bio zaštićen od utjecaja vremena, a i samo mjesto bilo bi prigodno obilježeno. Financiranje i gradnju su izveli sami mještani sela, a radovi zu povremeno izvođeni zadnjih mjesec dana.
Danas je velečesani Andrija Kekić uz prisutnost mještana obavio blagoslov, a nakon toga bilo je i prigodno druženje te je ovo prava rijetkost da se u ovom selu okupilo ovoliko ljudi.
Na slikama možete vidjeti kako se odvijala gradnja od početka do kraja te današnji blagoslov.
Helikopter u Rakovici
- Detalji
- Napisao/la Jurica
Jučer je u Rakovicu sletio helikopter koji prevozi turiste koji su posjetili Plitvička jezera. Zahvaljujući ljubaznosti pilota malo sam poslikao helikopter i imao priliku sjesti unutra.
Proslava 20. godina VRO Oluja
- Detalji
- Napisao/la Jurica
Nekoliko usputnih sličica sa događanja kod škole. Pečenje bika počelo oko 04.00 ujutro, popodne nogometni turnir, druženje uz iće i piće do navečer.
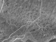
Ortofoto snimke iz 1968.
- Detalji
- Napisao/la Jurica
Nedavno su na stranici Ministarstva graditeljstva https://ispu.mgipu.hr/ objavljene ortofoto snimke Vojnogeografskog instituta iz Beograda o kojima se duga pričalo zbog legalizacije objekata, a sada su postale i javno dostupne. Treba napomenuti da snimke nisu baš iz 1968. nego su nastale u vremenskom periodu vjerovatno od 1960. pa do 1968. pa imajte na umu ako nekih objekata nema da je to zbog toga.
Generalni je zaključak da je bilo puno manje kuća i puno više stanovništva (gledajući popise stanovništva iz tog razdoblja) te puno više obrađenih površina. Danas je obrnuto, puno je više kuća, manje stanovništva i manje obrađenih površina.
U prilogu na slikama pogledajte usporedbe ondašnjeg i današnjeg stanja nekih naselja.
Izgradnja pograničnog prijelaza Kordunski Ljeskovac
- Detalji
- Napisao/la Jurica
Nakon dvadesetak godina čekanja nedavno je počela izgradnja graničnog prijelaza za pogranični promet u Kordunskom Ljeskovcu. Iako smo se nadali da ćemo preko ovog prijelaza moći skratiti put do nekih pograničnih mjesta u BiH to neće biti moguće za sve stanovnike Općine Rakovica nego samo za one koji žive u pograničnom području (max. udaljenost 5 km od državne granice). Ipak, dobro je da se otvori barem i ovakav prijelaz jer je ova cesta prema BiH bila slijepo crijevo bez mogućnosti bilo kakvog prelaska. Određeni broj stanovnika Tržačkih Raštela ima i zemlju na hrvatskoj strani tako da će im ovo biti dobrodošla mogućnost da je pokušaju obrađivati.
Ovako je na prijelazu bilo 2011. godine...

... a ovako je danas na samom mostu.

Radovi na izgradnji prijelaza
